Proposed PoCo child-care facility passes environmental regulations
A new two-storey facility that could host up to 144 kids may be coming to the Hyde Creek neighbourhood

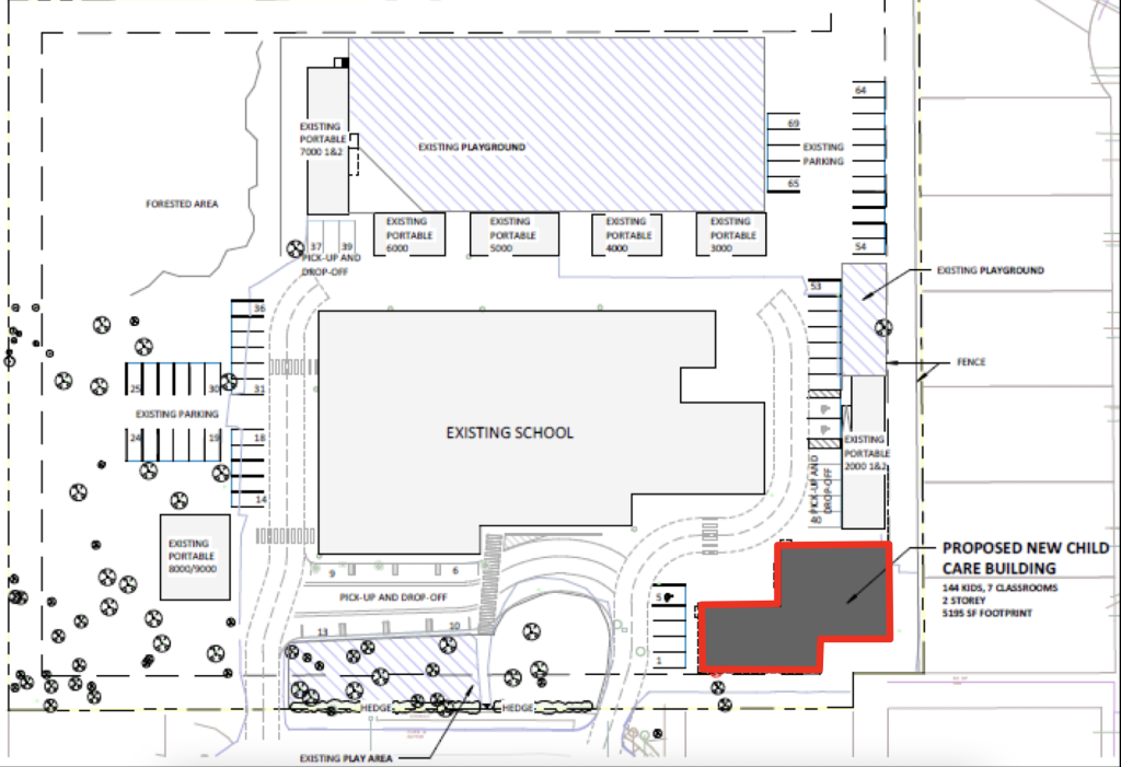
A child-care facility in Port Coquitlam cleared the first hurdle on its path to reality on Tuesday afternoon.
City council granted an environmental conservation development permit to a proposed child-care building at 1019 Fernwood Ave.
The permit, which is required to start construction, will regulate the conservation measures for the facility slated to be located adjacent to the Hyde Creek Nature Reserve.
Local news that matters to you
No one covers the Tri-Cities like we do. But we need your help to keep our community journalism sustainable.
The proposal is led by the BC Christian Academy, who already operate a school on the property.
The two-storey building would be on the southeast corner of the site, west of Cedar Drive, and host up to 144 kids.
It is also scheduled to work in tandem with the academy’s existing Kids Club Childcare Centre on site to provide before and after school care for infants, toddlers and three to five-year-olds.
“As far as the report goes and the compliances, I believe they are meeting all of these [requirements],” said Coun. Darrell Penner.
The BC Christian Academy has proposed three preservation measures for the building: greenhouse gas reductions, energy and water conservation.
To meet those guidelines, the facility will have a heating system that is 80 per cent more efficient than a boiler and ultra-low flush toilets, among other initiatives. Designs of the building are also slated to include recycled concrete, steel and insulation, according to a report to council.

Council was limited to only talking about the environmental component of the motion at the meeting, following a preface by Bruce Irvine, director of planning and development services with the city, who said there has been queries about the proposal.
“I know we always have a lot of questions related to this site,” Irvine said. “The application before us strictly is whether or not this particular application complies with the environmental conservation policies required by the city.”
The approval passed with no pushback, a stark contrast from a child care decision in the fall that caused council to reverse course.
In October, Port Coquitlam council rejected an application to build a 65-unit child-care facility at 1948 Grant Ave. during a meeting that saw nine residents speak against the proposal, citing parking, noise and property value concerns.
Mayor Brad West, who didn’t attend the meeting, later had council reconsider the decision. He added an amendment urging staff to address some of the parking and design fears from residents, and the motion passed 6-1.
Port Coquitlam has a relatively high vacancy rate at registered child-care facilities compared to other cities in B.C. — especially in the Lower Mainland.
Just under 50 per cent of child-care facilities in Port Coquitlam had at least one vacancy in October, as per a report from CBC. Neighbouring Coquitlam had a vacancy rate of 39 percent, while Vancouver and Burnaby had vacancy rates of 37 and 35 percent respectively.
There are currently 95 facilities in Port Coquitlam, according to the province’s child care map.
City council will have a chance to vote on fully approving the plan at a future council meeting.
No date was given for when the motion will be discussed again.
